大魔王さまの写真館(仮) #30 昭和13年から9年後の昭和22年(Nov'1947)の航空写真で、 有料CD-R♪ ①
◇◆ 一眼レフの初購入を考えてる方の背中を押せるに充分な適度にいい加減な寒いブログです ◆◇
|
Admin
|
Write
|
Comment
|
カレンダー
09
2025/10
11
S
M
T
W
T
F
S
1
2
3
4
5
6
7
8
9
10
11
12
13
14
15
16
17
18
19
20
21
22
23
24
25
26
27
28
29
30
31
◆ 管理室 ◆
忍者画像 RSS
≫ 忍者あんてな ≪
忍者AdMax
≫
忍者AdMaxを始める!
≪
PIXTA
※ 写真を売ってみませんか?※
-------------------------
PIXTA - 大魔王さまの写真展(仮)
ランキングサイトのススメ
↑
Click!!
↑
ランキングに 参加してます!
( 現在の順位を確認できます )
Google AdSense
--- Google URL Shortener ---
カテゴリー
ふぁみりぃ♪(1131)
愛車(424)
他人の車(798)
食べもん@飲み(1993)
風景など・・・(2270)
イベントなど・・・(1310)
絵日記(13)
ジオラマ(78)
#30.....(64)
未選択(4541)
--- いろいろ 御覧下さい ---
最新コメント
大魔王さま、 感動です!
[02/04 山頂の住人]
おっ!
[01/23 riki]
うぉ!!
[01/22 riki]
大魔王さま、 感動です!
[01/22 山頂の住人]
おっ!!
[01/21 riki]
大魔王さま、 感動です!
[01/21 山頂の住人]
おおっ!!
[01/20 riki]
大魔王さま、 感動です!
[01/20 山頂の住人]
うおっ!!
[01/19 riki]
おおお!
[01/18 riki]
-------------------------
自由に
Title
を変更してね♪
Twitter
--- daimaou_sama ---
Follow @daimaou_sama
◇◆ Record China ◆◇
◇◆ Chosun Online ◆◇
ブログ内検索
※ いろいろ試して下さい ※
Ninja-Tools
アクセスコントロール
NINJA TOOLS
[PR]
薬剤師 募集
転職 プログラマー
[PR]
オンラインゲーム
ヒーリング
※ キリ番機能 設定しています ※
Amazon Search Box
Amazon.co.jp でサーチ!
アフィリエイト
脱 亜 論 - Ninja -
--- 特亜を楽しみましょう ---
最新記事
世界遺産を意識した・・・ 小京都を思わせる清楚な倉庫で、 単焦点♪ ③
(01/23)
歩いて行ける距離な・・・ 焚き火という名のある種の焼却で、 単焦点♪Ⅴ
(01/22)
歩いて行ける距離の・・・ 煌びやかで神々しい奥の細道で、 単焦点♪ ④
(01/21)
歩いて行ける距離の・・・ 煌びやかで神々しい奥の細道で、 単焦点♪ ③
(01/20)
歩いて行ける距離の・・・ 昭和⇒平成⇒令和と駆け抜けた美しき廃屋で、 単焦点♪ ③
(01/19)
アーカイブ
2020 年 01 月 ( 16 )
2019 年 12 月 ( 30 )
2019 年 11 月 ( 30 )
2019 年 10 月 ( 31 )
2019 年 09 月 ( 30 )
2019 年 08 月 ( 27 )
2019 年 07 月 ( 31 )
2019 年 06 月 ( 28 )
2019 年 05 月 ( 30 )
2019 年 04 月 ( 29 )
2019 年 03 月 ( 31 )
2019 年 02 月 ( 26 )
2019 年 01 月 ( 25 )
2018 年 12 月 ( 31 )
2018 年 11 月 ( 29 )
2018 年 10 月 ( 31 )
2018 年 09 月 ( 30 )
2018 年 08 月 ( 29 )
2018 年 07 月 ( 30 )
2018 年 06 月 ( 29 )
2018 年 05 月 ( 31 )
2018 年 04 月 ( 38 )
2018 年 03 月 ( 34 )
2018 年 02 月 ( 32 )
2018 年 01 月 ( 31 )
2017 年 12 月 ( 40 )
2017 年 11 月 ( 50 )
2017 年 10 月 ( 57 )
2017 年 09 月 ( 78 )
2017 年 08 月 ( 70 )
2017 年 07 月 ( 64 )
2017 年 06 月 ( 67 )
2017 年 05 月 ( 77 )
2017 年 04 月 ( 66 )
2017 年 03 月 ( 89 )
2017 年 02 月 ( 71 )
2017 年 01 月 ( 81 )
2016 年 12 月 ( 92 )
2016 年 11 月 ( 72 )
2016 年 10 月 ( 79 )
2016 年 09 月 ( 66 )
2016 年 08 月 ( 54 )
2016 年 07 月 ( 53 )
2016 年 06 月 ( 54 )
2016 年 05 月 ( 60 )
2016 年 04 月 ( 66 )
2016 年 03 月 ( 87 )
2016 年 02 月 ( 69 )
2016 年 01 月 ( 71 )
2015 年 12 月 ( 76 )
2015 年 11 月 ( 78 )
2015 年 10 月 ( 77 )
2015 年 09 月 ( 89 )
2015 年 08 月 ( 62 )
2015 年 07 月 ( 73 )
2015 年 06 月 ( 84 )
2015 年 05 月 ( 81 )
2015 年 04 月 ( 84 )
2015 年 03 月 ( 78 )
2015 年 02 月 ( 62 )
2015 年 01 月 ( 68 )
2014 年 12 月 ( 101 )
2014 年 11 月 ( 89 )
2014 年 10 月 ( 90 )
2014 年 09 月 ( 72 )
2014 年 08 月 ( 84 )
2014 年 07 月 ( 75 )
2014 年 06 月 ( 75 )
2014 年 05 月 ( 93 )
2014 年 04 月 ( 87 )
2014 年 03 月 ( 94 )
2014 年 02 月 ( 85 )
2014 年 01 月 ( 95 )
2013 年 12 月 ( 104 )
2013 年 11 月 ( 95 )
2013 年 10 月 ( 103 )
2013 年 09 月 ( 83 )
2013 年 08 月 ( 96 )
2013 年 07 月 ( 98 )
2013 年 06 月 ( 99 )
2013 年 05 月 ( 109 )
2013 年 04 月 ( 106 )
2013 年 03 月 ( 113 )
2013 年 02 月 ( 85 )
2013 年 01 月 ( 96 )
2012 年 12 月 ( 93 )
2012 年 11 月 ( 111 )
2012 年 10 月 ( 107 )
2012 年 09 月 ( 100 )
2012 年 08 月 ( 107 )
2012 年 07 月 ( 101 )
2012 年 06 月 ( 90 )
2012 年 05 月 ( 99 )
2012 年 04 月 ( 113 )
2012 年 03 月 ( 106 )
2012 年 02 月 ( 92 )
2012 年 01 月 ( 94 )
2011 年 12 月 ( 90 )
2011 年 11 月 ( 114 )
2011 年 10 月 ( 112 )
2011 年 09 月 ( 94 )
2011 年 08 月 ( 101 )
2011 年 07 月 ( 96 )
2011 年 06 月 ( 84 )
2011 年 05 月 ( 99 )
2011 年 04 月 ( 100 )
2011 年 03 月 ( 93 )
2011 年 02 月 ( 93 )
2011 年 01 月 ( 103 )
2010 年 12 月 ( 110 )
2010 年 11 月 ( 112 )
2010 年 10 月 ( 119 )
2010 年 09 月 ( 110 )
2010 年 08 月 ( 111 )
2010 年 07 月 ( 104 )
2010 年 06 月 ( 94 )
2010 年 05 月 ( 118 )
2010 年 04 月 ( 119 )
2010 年 03 月 ( 117 )
2010 年 02 月 ( 96 )
2010 年 01 月 ( 114 )
2009 年 12 月 ( 115 )
2009 年 11 月 ( 121 )
2009 年 10 月 ( 135 )
2009 年 09 月 ( 153 )
2009 年 08 月 ( 157 )
2009 年 07 月 ( 153 )
2009 年 06 月 ( 138 )
2009 年 05 月 ( 154 )
2009 年 04 月 ( 143 )
2009 年 03 月 ( 145 )
2009 年 02 月 ( 124 )
2009 年 01 月 ( 131 )
2008 年 12 月 ( 139 )
2008 年 11 月 ( 129 )
2008 年 10 月 ( 123 )
2008 年 09 月 ( 108 )
2008 年 08 月 ( 118 )
2008 年 07 月 ( 115 )
2008 年 06 月 ( 117 )
2008 年 05 月 ( 115 )
2008 年 04 月 ( 112 )
2008 年 03 月 ( 107 )
2008 年 02 月 ( 85 )
2008 年 01 月 ( 90 )
2007 年 12 月 ( 106 )
2007 年 11 月 ( 109 )
2007 年 10 月 ( 92 )
2007 年 09 月 ( 53 )
2007 年 08 月 ( 8 )
プロフィール
HN:
大魔王さま
HP:
大魔王さまと 有酸素運動!
性別:
男性
自己紹介:
マザ~テレサの生まれ変り!
争い事を避け 友好と平和を第一に!
そして 何よりも 美味しい話を好みます。
『汝の欲する事を為せ』
本当に 良い言葉ですね。
ご質問等は コメントに・・・
どうぞ 宜しく御願いします♪♫
≫
うまい話
≪
----------------------
カメラ
:
Canon EOS 7D
レンズ
:
① AF18-250mm F3.5-6.3 DiⅡ
② Art 30mm F1.4 DC HSM
③ SP AF60mm F2 Di II MACRO
④ EF-S24mm F2.8 STM
◇ 写真の無断転用・転載の禁止 ◇
--- お知らせ ---
大人の事情にて・・・
只今 おきてがみを 停止しています。
本当に申し訳御座いません。
信頼の相互リンク募集中!
◇ 御用命の際は 直接コメントにて ◇
◆上から目線でリンク◆
※ 打てど響かぬ太鼓は消滅 ※
riki's blog
S2457
ながれるままに
FOODIES
気の向くままに・・・
花ヲツマミニ
叫んで、みたいのおぉぉぉ!
飛行犬ポメラニアン
mana's kitchen
写真のクラ蔵Ⅱ
領土・主権対策企画調整室
Google 大魔王さま
--- 信頼の相互リンクを大募集 ---
※ リファラーを意識してリンク ※
自動相互リンク
※ ゆる~い相互リンクです ※
ブログ村(PV)
[PR]
2025/10/25 [Sat]
×
[PR]上記の広告は3ヶ月以上新規記事投稿のないブログに表示されています。新しい記事を書く事で広告が消えます。
13:50:43
http://3615.blog.shinobi.jp
[PR]
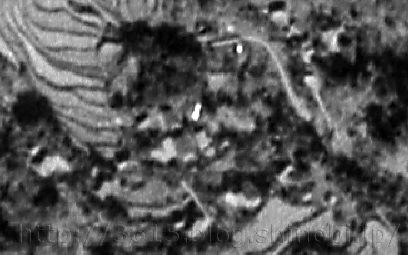
#30 昭和13年から9年後の昭和22年(Nov'1947)の航空写真で、 有料CD-R♪ ①
2016/10/22 [Sat]
以前にも扱ったネタですが 今回は高画質です!
タグで通常表示サイズを演出してますが クリックすると元画像サイズが分かります♪♫
※ つづきを御覧下さい。
--- 購入済み元画像よりトリミング ---
≫ ランキングに イイネ!≪
ブログ内検索 powered by Google
≫ 一眼レフを 選ぼう ≪
≫ うまい話 ≪
≫ レンズを 選ぼう ≪
事件から9年後の 昭和22年に米軍によって撮影されたものです。
購入した画像は広範囲なのですがトリミングで対応いたしました。
犯人の親族である寺井元一(仮名)の実弟で寺井マツ子(仮名)の旦那である寺井弘(仮名)の住居の位置と・・・
犯人居住地に丹羽卯一(仮名)が引越した経緯とか・・・ ものすごく興味があるんですよね♪♫
※ 新聞社にコネが欲しい。
≫ ランキングに 挑戦しています いいね! を ヨロシク ≪
10:10:10
#30.....
Comment[0]
http://3615.blog.shinobi.jp/-30/-30%20%E6%98%AD%E5%92%8C13%E5%B9%B4%E3%81%8B%E3%82%899%E5%B9%B4%E5%BE%8C%E3%81%AE%E6%98%AD%E5%92%8C22%E5%B9%B4%EF%BC%88nov--_10900
#30 昭和13年から9年後の昭和22年(Nov'1947)の航空写真で、 有料CD-R♪ ①
この記事にコメントする
+Name+
+Title+
+Mail+
+URL+
+Comment+
+Pass+
≪ Back
│HOME│
Next ≫
[
10903
] [
10902
] [
10901
] [
10899
] [
10898
] [10900] [
10897
] [
10896
] [
10895
] [
10894
] [
10893
]
PR
Copyright c
大魔王さまの写真館(仮)
。。All Rights Reserved.
Powered by
NinjaBlog
/ Material By
Mako's
/ Template by
カキゴオリ☆
忍者ブログ
[PR]